【売地】豊橋市三本木町 住宅用地
高師小学校・本郷中学校区。
建築条件ありません!お好きなハウスメーカーで建築可!
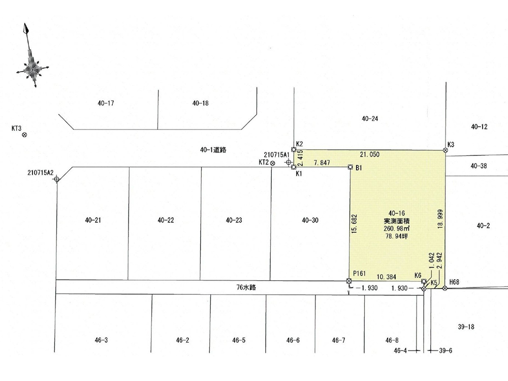
住宅地図
※画像はクリックで切り替えられます。
物件情報
| 物件種目 | 売地 | ||
|---|---|---|---|
| 最適用途 | 住宅用地 | ||
| 最寄駅 | 豊橋鉄道「高師」駅 | ||
| 土地面積 | 260.96㎡(78.94坪) | ほかに私道面積 | - |
| 価格 | 800万円 | 3.3㎡単価 | 10.14万円 |
| 物件所在地 | 豊橋市三本木町字新東上40番16 | ||
| 交通 | 豊橋鉄道「高師」駅 徒歩23分 | ||
| 土地権利 | 所有権 | 地目 | 宅地 |
| 都市計画 | 市街化区域 | 用途地域 | 第一種低層 |
| 建ぺい率 | 60% | 容積率 | 200% |
| 他の法令 | 建築基準法第22条指定区域、がけ条例、宅地造成工事規制区域 | ||
| 引渡条件 | 更地渡し | ||
| 現況 | 建物有 | 引渡日 | 相談 |
| 接道状況(角地・間口) | 西側51mの公道に2.4m接する | ||
| 設備 | 上下水道、都市ガス、側溝 | ||
| 備考 | - | ||
専用お問い合わせフォーム
プライバシーポリシーをご確認後、下記フォームよりお問い合わせください。
フォームは24時間受け付けています。返信にお時間を頂く場合がございますが、ご了承ください。
なお、自動返信メールが来ない・お急ぎの場合などは、お手数ですがお電話(TEL:0532-21-6772)にてご連絡ください。




